1.450m² Verkaufsfläche + Lagerfläche mit 6.350m² Grundstück 1A Lage zentral an B75 von Privat

Am Westbahnhof 3
21255 Tostedt – Tostedt
Niedersachsen
1.999.955 €
Selling Price
TraumImmo-ID: FFB6UGG
Partner-ID: 412564
Partner-Property by: ohne-makler.net
Contact:
Privat vom Eigentümer

Contact now

Information

  • Type: Self-Service Market
  • Storey: 0
  • Free From: Nach Vereinbarung
Handicapped AccessibleGuest-ToiletKitchen

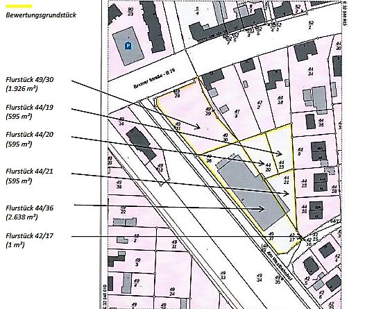
  • Property Area: 6350.0
  • Construction Year: 1997
  • Condition: WellKept
  • Heating Type: CentralHeating
  • Firing Type: Gas

Selling Price & Extra Costs

Selling Price1.999.955 €
Courtageno courtage for buyers

About this dream store

Property Description

Verkaufe Verbrauchermarkt zentral an der B75 direkt in Tostedt gelegen.

1.455 m² Gebäudegesamtfläche
100 angelegte Stellplätze
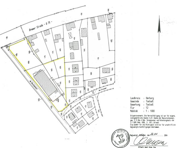
6.350m² Grundstück

Freifläche/ Parkplatz LKW befahrbar
Parkplatz / Gebäudezufahrt befriedet durch eine Schrankenanlage
Bushaltestelle direkt am Objekt

Provisionsfrei direkt vom Eigentümer


Furnishing

Das Objekt besteht aktuell aus 2 Einheiten.
1x 55m² (50m² Verkaufsfläche + 5m² Sozialräume)
1x 1.400m² (900m² Verkaufsfläche + 50m² Sozialräume + 350m² Lagerfläche)

Alarmanlage
Klimaanlage
LKW-Anlieferung
LKW-Laderampe
Einfriedung durch Schrankenanlage
Gas Heizung (Wasser/Luft)
D + H Toiletten
Küchen
Marktleiter Büro
Rauchabzug
Fluchttür
Bodenbelag Hochbelastbare Fliesen im Dickbett 7,5To/m²


Other

B-Plan Verbrauchermarkt mit bis zu 1.650m² Verkaufsfläche zugelassen.

Kann lt. Bauamt auch zu ca. 12.000m² Wohnflächen (GRZ 0,4 + Anlehnung an die Nachbarbebauung) umgenutzt werden.


Location

Location description

zentral an der B75 direkt in Tostedt gelegen
Bushaltestelle direkt am Objekt

ohne-makler.net
Contact:
Privat vom Eigentümer

Contact now