Grundstück zum Kauf provisionsfrei

Sandbergweg 11
75447 Sternenfels – Sternenfels
Baden-Württemberg
273.240 €
Kaufpreis
TraumImmo-ID: 7WY2K8V
Partner-ID: 398360
Partner-Objekt von: ohne-makler.net
Anbieter:
Privat von Hr. Egger

Anbieter kontaktieren

Information

    • Bezugsfrei ab: sofort

    • Grundstücksfläche: 1012.0

    Kaufpreis & Kosten

    Kaufpreis273.240 €
    Provisionkeine Provision für Käufer

    Über dieses Traum-Wohngrundstück

    Objektbeschreibung

    In herrlicher Westhanglange in Sternenfels gelegen, steht dieses großzügige Baugrundstück mit über 1000 m² zum Verkauf.
    Eingebettet in einen ehemaligen Weinberg, bietet es direkten Zugang zum angrenzenden Wald und Wanderweg - ideal für Naturfreunde und Alle, die ein Leben im Grünen schätzen.

    Highlights:
    - 1.012 m² Baugrund
    - erschlossene Baulücke in ruhigem Wohngebiet
    - GRZ 0,3; GFZ 0,5
    - Dachneigung 18-28°
    - Bebauung mit Einzelhaus oder Doppelhaus
    - Zwei Vollgeschosse
    - Westhang direkt am Wald und Wanderweg
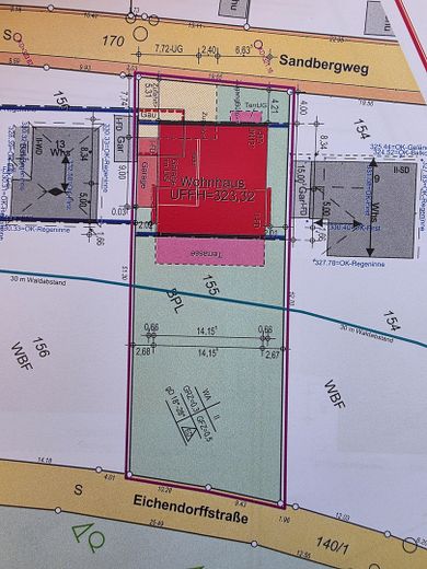
    - Auf dem Lageplan sehen Sie ein Beispiel für die Bebauung

    Der aktuelle Bodenrichtwert beträgt 270 €/m².

    Der Verkauf erfolgt von Privat ohne Provision. Makleranfragen sind nicht erwünscht.

    Alle Angaben ohne Gewähr.


    Lage

    ohne-makler.net
    Anbieter:
    Privat von Hr. Egger

    Anbieter kontaktieren