Neubau-Reihenhaus in toller Lage von Haueneberstein (QNG)

Die vollständige Adresse erhalten Sie vom Anbieter
76532 Baden-Baden – Haueneberstein
Baden-Württemberg
585.000 €
Kaufpreis
131 m²
Wohnfläche
5
Zimmer
TraumImmo-ID: F643GJ6
Partner-ID: 417425
Partner-Objekt von: ohne-makler.net
Anbieter:
Angebot vom Eigentümer

Anbieter kontaktieren

Information

  • Typ: Reihenmittelhaus
  • Wohnfläche ca.: 131 m²
  • Bezugsfrei ab: Nach Vereinbarung
  • Zimmer: 5
KellerGäste-WCGarten

  • Grundstücksfläche: 357.0
  • Baujahr: 2026
  • Zustand: FirstTimeUse
  • Heizart: FloorHeating

Kaufpreis & Kosten

Kaufpreis585.000 €
Provisionkeine Provision für Käufer

Über dieses Traum-Haus

Objektbeschreibung

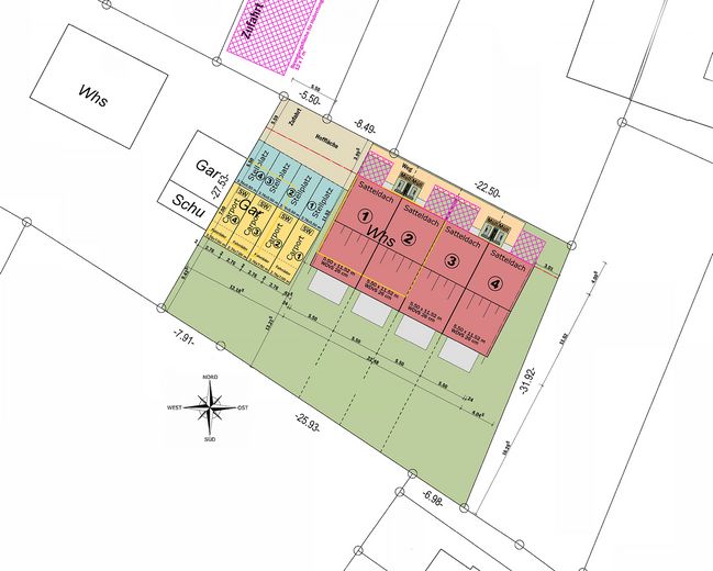
Dieses charmante Reihenendhaus mit ca. 131 m² Wohnfläche und einem Grundstück von ca. 340 m² (+17 m² Wegeanteil) entsteht in schöner Lage von Baden-Baden Haueneberstein. Das Haus verfügt über 5 Zimmer und bietet ausreichend Platz für Familien. Die vier Reihenhäuser werden schlüsselfertig in Massivbauweise inklusive Keller erbaut, der Baustart erfolgt voraussichtlich im Q2 2026.

Übersicht:
- die QNG-Zertifizierung bietet attraktive Fördermöglichkeiten
- das Haus ist ausgestattet mit einer Luft-/Wasser-Wärmepumpe und einer PV-Anlage
- schlüsselfertig mit Festpreisgarantie
- inklusive Keller
- Fußboden Parkett mit Fußbodenheizung

in dem ausgeschriebenen Preis sind Baukosten (Haus+Carport) und Grundstückskosten bereits enthalten. Hinzu kommen pro Haus 24.000€ Baunebenkosten sowie ca. 10.000€ Hausanschlusskosten.

Überblick der noch verfügbaren Häuser:

- RH2: 131 m² Wohnfläche und 216 m² Grundstück: 525.000€
- RH3: 131 m² Wohnfläche und 216 m² Grundstück: 525.000€
- RH4: 131 m² Wohnfläche und 357 m² Grundstück: 585.000€


Sonstiges

Es fällt keine Käuferprovision an. Gerne zeigen wir Ihnen das Grundstück vor Ort und beantworten Ihre Fragen persönlich.


Lage

Lagebeschreibung

Haueneberstein ist ein charmanter Stadtteil in Baden-Baden mit einer angenehmen Atmosphäre und moderater Bevölkerungsdichte. Die öffentlichen Verkehrsmittel sind gut erreichbar, mit den Buslinien 205 und 216, die regelmäßig verkehren. Das Viertel ist geprägt von Einfamilien- und Reihenhäusern und gilt als sichere, kinderfreundliche Umgebung. Grüne Parks und Spielplätze machen Haueneberstein zu einem beliebten Wohnort. Junge Berufstätige schätzen die Nähe zur Innenstadt von Baden-Baden und die guten Verkehrsanbindungen, beispielsweise zur Autobahn A5. Annehmlichkeiten wie Einkaufsmöglichkeiten und medizinische Einrichtungen sind in der Nähe.

ohne-makler.net
Anbieter:
Angebot vom Eigentümer

Anbieter kontaktieren