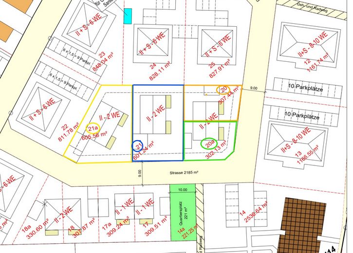
Lageplan

2 Grundstücke für 2-Familienhaus und 2x Doppelhaushälfte in Oelde - Jetzt zugreifen!

Von-Nagel-Str./Zum Sundern/Goldbrink
59302 Oelde – Oelde
Nordrhein-Westfalen
112.500 €
Kaufpreis
TraumImmo-ID: ZJCHRBD
Partner-ID: 429423
Partner-Objekt von: ohne-makler.net
Anbieter:
Angebot von W. Schellenberg

Anbieter kontaktieren

Information

    • Bezugsfrei ab: sofort

    • Grundstücksfläche: 362.0

    Kaufpreis & Kosten

    Kaufpreis112.500 €
    Provisionkeine Provision für Käufer

    Über dieses Traum-Wohngrundstück

    Objektbeschreibung

    Sie suchen ein Grundstück für Ihr Traum-Zweifamilienhaus oder Doppelhaus? Wir haben das perfekte Angebot für Sie!

    Wir bieten 4 Grundstücke in Oelde auf dem alten Hammelmann Gelände an, ideal für die Errichtung von zwei Zweifamilienhäusern und einem Doppelhaus bzw. 2 Doppelhaushälften. Die Grundstücke sind:

    - Grundstück 20: DOPPELHAUSHÄLFTE ca. 307 m² - Preis: EUR 112.500,-
    - Grundstück 20a: DOPPELHAUSHÄLFTE ca. 302 m² - Preis: EUR 112.500,-
    - Grundstück 21: ZWEIFAMILIENHAUS ca. 601 m² - Preis: EUR 210.00,-
    - Grundstück 21a: ZWEIFAMILIENHAUS ca. 606 m² - Preis;: EUR 198.800,-

    Ausstattung:

    - Baureif
    - Bebauungsplan vorhanden
    - inkl. Baugenehmigung (in Bearbeitung)
    - Kauf direkt vom Eigentümer
    - keine Bauträgerverpflichtung

    Wenn Sie Interesse an einem der Grundstücke haben, zögern Sie nicht, uns zu kontaktieren. Wir freuen uns auf Ihre Anfrage!


    Sonstiges

    Auf Wunsch kann Ihr Traumhaus schlüsselfertig gebaut werden.


    Lage

    Lagebeschreibung

    Die Grundstücke liegen in einer ruhigen und beliebten Wohnlage, mit guter Anbindung an die Stadt und die umliegenden Gemeinden.

    ohne-makler.net
    Anbieter:
    Angebot von W. Schellenberg

    Anbieter kontaktieren