3xReihenhaus Bebauung mit Baugenehmigung 310 m² Parchim / Stralendorf

Hauptstraße 38
19372 Stralendorf – Stralendorf
Mecklenburg-Vorpommern
110.000 €
Kaufpreis
TraumImmo-ID: WHU8V6B
Partner-ID: 379628
Partner-Objekt von: ohne-makler.net
Anbieter:
Privat von Tobias Nikolaides

Anbieter kontaktieren

Information

    • Bezugsfrei ab: sofort

    • Grundstücksfläche: 850.0

    Kaufpreis & Kosten

    Kaufpreis110.000 €
    Provisionkeine Provision für Käufer

    Über dieses Traum-Wohngrundstück

    Objektbeschreibung

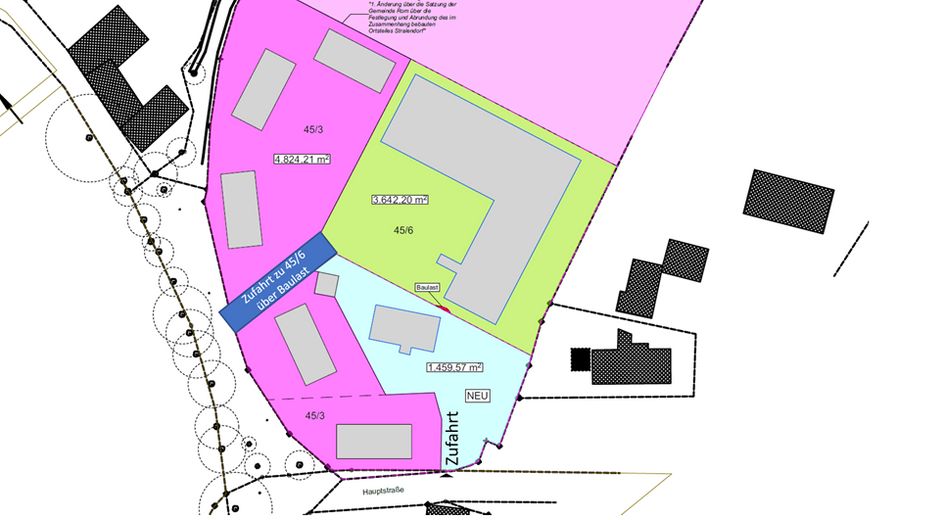
    Grundstück mit Baugenehmigung für drei Reihenhäuser – ca. 310 m² Wohnfläche

    Zum Verkauf steht ein attraktives Baugrundstück mit genehmigtem Bauvorhaben für die Errichtung von drei Reihenhäusern. Die Baugenehmigung liegt bereits vor. Geplant ist eine Bebauung ohne Kellergeschoss.

    Die Gesamtwohnfläche der drei Einheiten beträgt etwa 310 Quadratmeter. Die Planung sieht eine moderne und funktionale Architektur vor, die sich ideal für Familien, Kapitalanleger oder zur späteren Vermietung eignet.

    Das Grundstück bietet damit eine hervorragende Möglichkeit zur kurzfristigen Projektumsetzung ohne langwierige Genehmigungsverfahren.


    Sonstiges

    Verkehrsanbindung: Anschluss an den öffentlichen Nahverkehr über Rufbusse; eine Buslinie verbindet Stralendorf mit Schwerin und Parchim. Die Fahrzeit nach Schwerin beträgt mit dem Auto ca. 18 Minuten

    Regionale Nahversorgung: Geschäfte für den täglichen Bedarf sowie Kitas, Schulen und andere Angebote finden sich in Parchim (7 km) bzw. Schwerin.


    Lage

    Lagebeschreibung

    Stralendorf ist eine Gemeinde im Landkreis Ludwigslust‑Parchim in Mecklenburg‑Vorpommern und Teil der Gemeinde Rom, etwa 7 km östlich von Parchim und 10 km südwestlich von Schwerin gelegen.

    Die Nähe zur Landeshauptstadt Schwerin und zur Kreisstadt Parchim macht die Lage attraktiv für Wohnen und Investitionen.

    Das Dorf liegt an der Landesgrenze des Amtes Parchimer Umland und ist von einem ländlich geprägten Umfeld mit teilweise agrarischer Nutzung umgeben.

    Die Bundesstraßen B321 (ca. 2,5 km) und B106 (ca. 10 km) sind gut erreichbar, die Autobahn A24 ist rund 18 km entfernt über die Anschlussstelle Parchim.

    ohne-makler.net
    Anbieter:
    Privat von Tobias Nikolaides

    Anbieter kontaktieren